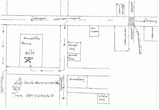
ต้องการขายที่ดินจำนวน 40 ไร่ และใน 40 ไร่นี้มีต้นสักทองอายุประมาณ 17 ปี อีก ประมาณ 15 ไร่ คุ้มค่าคุ้มราคา
ต้องการขายที่ดินจำนวน 40 ไร่ และใน 40 ไร่นี้มีต้นสักทองอายุประมาณ 17 ปี อีกประมาณ 15 ไร่ คุ้มค่าคุ้มราคา ที่ดินตั้งอยู่ ที่ อ.ท่าหลวง จ.ลพบุรี ห่างจากกรุงเทพประมาณ 160 กิโลเมตร การคมนาคมสะดวก ใกล้ตลาดท่าหลวง และตลาดลำนารายณ์ ที่ดินสวยผืนเดียวกัน น้ำไม่ท่วม 1000 % สนใจรายละเอียดเพิ่มเติม ติดต่อ 089-7484368
E-MAIL [email protected]
![]() |
| ติดต่อ: | O | อีเมล์: | |
| โทรศัพย์: | 0897484368 | จังหวัด: | ลพบุรี |
| คำค้น: | ขายที่ดิน ลำนารายณ์ 0897484368 | | ||
ลงประกาศ | เลื่อนประกาศขึ้น | ลบประกาศ | แก้ไขประกาศ
[ รับจำนอง ขายฝาก บ้าน ที่ดิน ทั่วประเทศ กู้เงินง่าย ได้เงินไว ไม่เช็คแบล็คลิส ]
ลงประกาศ | เลื่อนประกาศขึ้น | ลบประกาศ | แก้ไขประกาศ

