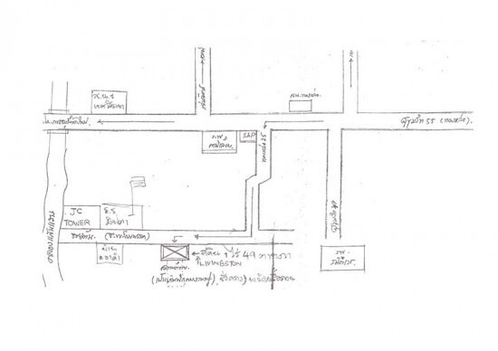
ขายที่ดินสวยมากย่านสุขุมวิท49 ทองหล่อ 25 1ไร่ 2 งาน 71 ตารางวา (671 ตร.วา)
เข้าซอยเพียง5นาที โฉลดที่ดินรวม 2แปลง ต ร ว ละ 300,000 บาท
ราคาขาย 201,300,000 บาท พื้นที่ทำเลทองผืนใหญ่เหมาะทำธุรกิจ คอนโด ,อพาร์ทเมนต์,
โรงแรม,ร้านอาหาร, ที่อยู่อาศัย , ร้านมินิมาร์ทหรือศูนย์การค้าขนาดย่อม , อู่ซ่อมรถ , โรงพยาบาล,หรือซื้อเพื่อ Invest เพราะทำเลสวยมากๆ การเดินทางสะดวกเพราะติดถนนใหญ่
ใกล้ MRT คลอยเตย และ BTS ทองหล่อ
1.ใกล้ที่จอดรถ
2.ใกล้ห้างซุปเปอร์มาร์เก็ต
3.ใกล้ร้านมินิมาร์ท
4.ใกล้โรงแรม
5.ใกล้สถานีตำรวจ
6.ใกล้สำนักงานเขต
7.ใกล้โรงพยาบาล
8.ใกล้ปั๊มน้ำมัน
9.ใกล้สถานีรถบัสขนส่ง
10.ใกล้ถนนทางหลวง
สนใจติดต่อเข้าชมพื้นที่ได้ที่ 085 787 6135 คุณเปิ้ล
E-mail: [email protected]
![]() |
| ติดต่อ: | apple | อีเมล์: | |
| โทรศัพย์: | 0857876135 | จังหวัด: | กรุงเทพมหานคร |
ลงประกาศ | เลื่อนประกาศขึ้น | ลบประกาศ | แก้ไขประกาศ
[ รับจำนอง ขายฝาก บ้าน ที่ดิน ทั่วประเทศ กู้เงินง่าย ได้เงินไว ไม่เช็คแบล็คลิส ]
ลงประกาศ | เลื่อนประกาศขึ้น | ลบประกาศ | แก้ไขประกาศ

