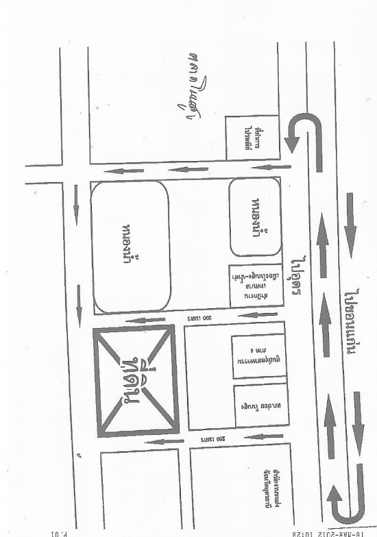
ขายที่ดินติดเทศบาลเมืองโนนสูง อ.เมือง จ.อุดร ใกล้หน่วยราชการ ติดหนองน้ำ เนื้อที่ 25 ไร่ แบ่งขายได้
ขายที่ดินเนื้อที่ 25 ไร่ ติดเทศบาลเมืองโนนสูง อ.เมือง จ.อุดร เป็นที่ชุมชน ใกล้สถานที่ราชการ วิทยาลัย สำนักงานขนส่งอุดรแห่งที่ 2 สามารถเดินถึงได้ ใกล้ตลาดสด ใกล้หนองน้ำ เหมาะทำจัดสรร ขายไร่ละ 1 ล้าน รวมโอน (เจ้าของขายเอง)
![]() |
| ติดต่อ: | อิสรีย์ | อีเมล์: | |
| โทรศัพย์: | 081 2576933 | จังหวัด: | อุดรธานี |
ลงประกาศ | เลื่อนประกาศขึ้น | ลบประกาศ | แก้ไขประกาศ
[ รับจำนอง ขายฝาก บ้าน ที่ดิน ทั่วประเทศ กู้เงินง่าย ได้เงินไว ไม่เช็คแบล็คลิส ]
ลงประกาศ | เลื่อนประกาศขึ้น | ลบประกาศ | แก้ไขประกาศ

