ขายที่ดินเปล่าแถวลาดกระบัง 2 ไร่ 1 งาน ห่างจากสนามบินสุวรรณภูมิเพียง 6 กิโลเมตร น้ำไม่ท่วม
ขายที่ดินเปล่าแถวลาดกระบัง 2 ไร่ 1 งาน และมีที่ดินที่เป็นถนนให้ด้วยครับ
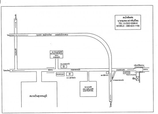
ห่างจากทางลงมอเตอร์เวย์ลาดกระบังเพียง 1 กิโลเมตร ใกล้กับโรงงานแครี่บอย
และห่างจากสถาบันเทคโนโลยีพระจอมเกล้าเจ้าคุณทหารลาดกระบังเพียง 5 กิโลเมตร
ห่างจากสนามบินสุวรรณภูมิเพียง 6 กิโลเมตร ขับรถ 5 นาทีก็ถึงครับ เหมาะสำหรับทำอพาทเมนท์ หรือโกดัง
ที่ดินอยู่ลึกไป 120 เมตรจากถนนครับ เจ้าของขายเองครับ และรับนายหน้าครับ
ชี้แจงรายละเอียดที่ดินครับ ตัวที่ดินเป็นที่ตาบอดครับ ไม่ติดถนนสาธารณะ แต่ว่าผมมีโฉนดอีกฉบับที่เป็นถนน
โดยที่ดินที่เป็นถนนี้จะเลียบผ่านตัวที่ดินหลักครับ ซึ่งที่ดินที่เป็นถนนนี้ทางผมแถมไปให้ฟรีครับ
แต่ตัวถนนยังไม่ได้ถมนะครับ เพราะยังไม่ได้ใช้ประโยชน์ จะมีที่ร้านอาหารด้านหน้าถมเข้าไปประมาณ
50 เมตร และหลังจากนั้นจะเป็นเหมือนที่ดินเปล่า ตัวถนนหน้ากว้าง 5 เมตรครับ
ตอนน้ำท่วมปี 2554 ที่ผ่านมาที่ตรงนี้น้ำไม่ท่วมครับ
ขายตารางวาละ 8000 บาทครับ หากสนใจสามารถต่อรองราคาได้ครับ
สนใจติดต่อ จุมพล สง่าพันธ์ไชย tel. 081-311-3611 หรือหากโทรไม่ติด
สามารถติดต่อได้ที่ [email protected] ได้ครับ ลงเบอร์ไว้แล้วผมจะโทรกลับ
![]() |
| ติดต่อ: | จุมพล สง่าพันธ์ไชย | อีเมล์: | |
| โทรศัพย์: | 081-311-3611 | จังหวัด: | กรุงเทพมหานคร |
| คำค้น: | ที่ดิน 2 ไร่ ลาดกระบัง | ที่ดินเปล่า 50 ตารางวา ใกล้สถานีรถไฟเจ้าคุณทหารลาดกระบัง | ขายที่ดิน ลาดกระบัง 50 | | ||
ลงประกาศ | เลื่อนประกาศขึ้น | ลบประกาศ | แก้ไขประกาศ
[ รับจำนอง ขายฝาก บ้าน ที่ดิน ทั่วประเทศ กู้เงินง่าย ได้เงินไว ไม่เช็คแบล็คลิส ]
ลงประกาศ | เลื่อนประกาศขึ้น | ลบประกาศ | แก้ไขประกาศ

